Bali Belly is apparently a common thing and it’s still ongoing for me. But much better today. Now it’s basically just cramps, which is pretty bad in itself, but it could be a lot worse I guess.
This morning was the best so far. The view from our breakfast was incredible, the sky was almost clear and it was really warm at 7 already.
I decided that my stomach was well enough for a dive and we tried the 9am fun dive with Blue Marlin today to Sharkpoint. We had the same divemaster Rahman but got another couple joining us, a 30-year old pair from Australia. We saw the same baby sharks as the other day under the rock but today there were countless other divers (last time it was just the three of us), so it took away some of the amazement. But it was cute that three of the sharks were sleeping all lined up next to each other.
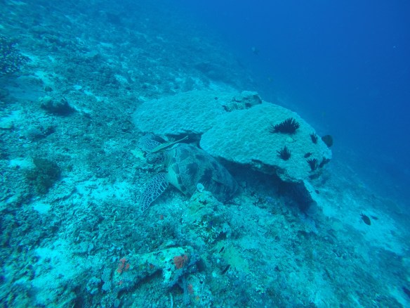
We also saw a couple of morays, one of which were swimming. A blue-spotted stingray. A tiny tiny nudibranch and of course a ton of tropical fishes and corals. I saw no turtles on this dive, first dive here I didn’t see any.
On the way back, my stomach was acting up a bit, but after lunch, we relaxed by the pool for a bit and then went to the second dive today at 14. On Friday’s there’s only two dives instead of three because of the longer prayer from the Mosque.
The second dive today was Bounty Wreck and we were ready for revansch after last time when we had technical issues with my BCD being too big and the current. I don’t think we can call it a rematch yet. This was a stressful dive in other ways but I think everything worked out fine.
So for this dive we had an elder Dutch couple (50 maybe?) Joining us and Rahman. They said they had around 50-60 dives, which would make them fairly experienced. We descended and started the dive as usual but after around half, just when I’m about to swim up to three big turtles lying next to each other on the ground, I see Rahman shoot back and I turn around and see Mikael swimming towards me and behind him, halfway up to the surface is a bubbly mess of one of our diving buddies. Her husband was further down, trying to get Rahman to help him help his wife who kept ascending. For those of you who don’t dive, that’s bad! You can’t get up that quickly from 18m depth without doing a safety stop of 3 minutes on 5m depth. The risk of decompression sickness is much higher if you don’t make the stop. Mikael and I ascended a bit but stayed at least at 10m and let Rahman handle the situation. Eventually she came back down and the dive continued. She signaled she was fine. So we descended again and continued.
We were at the wreck itself for only a few minutes, much air was lost and we needed to end the dive.
Later, she seemed fine and told us that she couldn’t deflate her BCD when trying to maintain her boyancy under water. I hope she didn’t get decompression sickness. Because that’s bad!
When we all surfaced, I panicked a little when I saw Mikael’s face. He had blood all over his cheek. And when he removed his mask, his face was so bloody!! His sinuses had burst while descending after the woman came down from her “accident”. He could feel it then, something warm filling his mask, but he thought is was mucus. So he did half of the dive with a mask full of blood. I’m glad that he had a mask with UV protected glass. I would have freaked out underwater if I saw his bloody face. We would have had to ended the dive. Apparently it’s not too uncommon for this to happen. But it looked gruesome!
After the dive, we went to the hotel, relaxed for a short bit and got ready for dinner. We met up with the Australians and had dinner at Pearl. It was a very nice evening. And in the background, over Lombok, there was an ongoing massive thunderstorm the whole evening so we had lightning lighting up the sky all the time. It was beautiful.











































































